(Symbol 437515) DZIAŁKA na SPRZEDAŻBrzozowo,
Działka do podziału lub zabudowy lub fotowoltaika
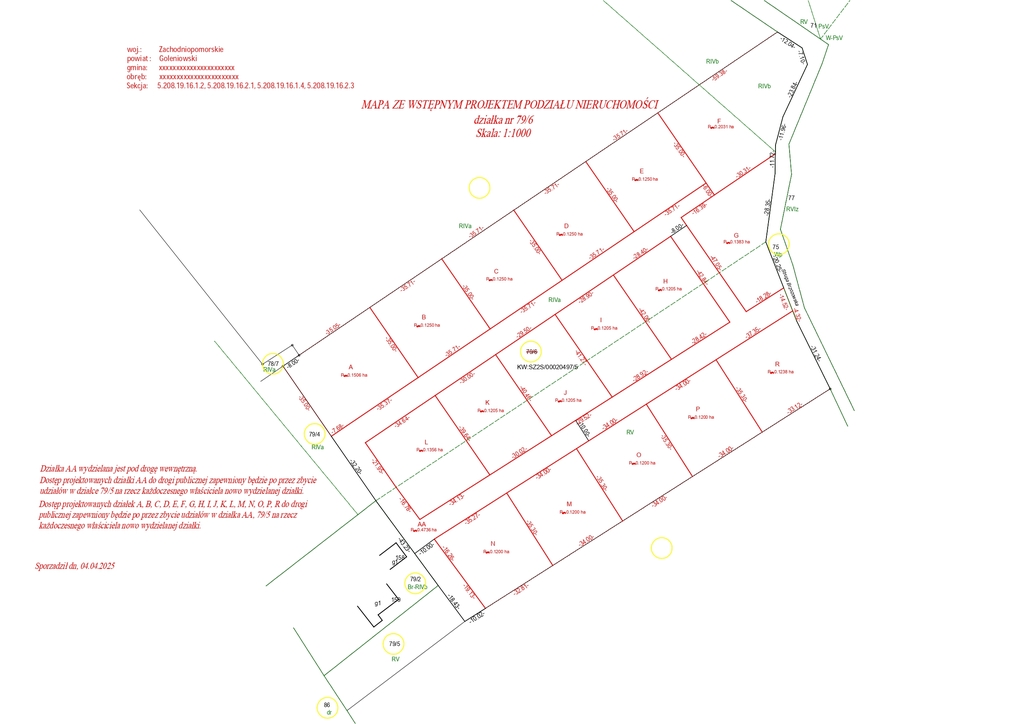
Sprzedam grunt o pow blisko 3ha z możliwością podziału na mniejsze. Działka położona w miejscowości Brzozowo pomiędzy Goleniowem i Wolinem. Działka sucha, równa.
Cena 21zł za metr kw. do negocjacji

W sąsiedztwie nowa zabudowa.

Idealna propozycja pod inwestycję. Idealna pod fotowoltaikę

Treść niniejszego ogłoszenia nie stanowi oferty handlowej w rozumieniu Kodeksu Cywilnego. Treść ma charakter informacyjny i zalecamy ich osobistą weryfikację. Kontaktując się z biurem Klient wyraża zgodę na przetwarzanie danych osobowych zgodnie z przepisami ustawy z dnia 29 sierpnia 1997 roku o ochronie danych osobowych / Dz.U.Nr. 133 poz. 883/. Klientowi przysługuje prawo do wglądu do swoich danych osobowych i ich aktualizacji.

Symbol
437515
Symbol SWO
437515
Rodzaj nieruchomości
DZIAŁKA
Rodzaj transakcji
SPRZEDAŻ
Status
AKTUALNA
Rodzaj rynku
WTÓRNY
Cena cena w innych walutach
590 000,00 PLN
Cena za m2
21,61 PLN
Kraj
POLSKA
Województwo
ZACHODNIOPOMORSKIE
Miejscowość
Brzozowo
Powierzchnia działki
27 300,00 m²
Rodzaj działki
BUDOWLANA
Forma własności działki
WŁASNOŚĆ
Energia elektryczna
Źródło wody
WODA MIEJSKA
Nr Licencji
4454

Doradca odpowiedzialny za ofertę

Iwona Granat

Zapytaj o ofertę